Realizátor
Statutární město Prostějov
Rozpočet
3 699 174 Kč
Termín
říjen 2024
Financování
Rozpočet města
Priority
Životní prostředí
Popis
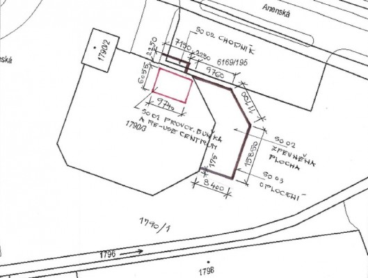
Město Prostějov se rozhodlo zřídit re-use centrum, které by mělo být umístěné ve sběrném dvoru Anenská 11 a tento dvůr rozšířit.
V současnosti areál dvora postavený v letech 1998 – 1999 je sestaven z provozně sanitární buňky, objektu skladu nebezpečných látek, ocelového krytého přístřešku a otevřené skladovací plochy.
Provozovna byla doplněna o re-use centrum, kde veřejnost může odkládat již nepotřebné či použité věci z domácností, které mohou být následně využity, např. nádobí, obrazy, keramika, kočárky, koloběžky, hračky atd. , jedná se o drobnější věci umístěné do regálů, na stoly a podél stěny. Přístup veřejnosti do centra je novým chodníkem podél venkovní stěny oplocení a přístupovou brankou v oplocení. Centrum je propojeno i s prostorem dvora.
Rozšíření dvora zahrnuje rozšíření asfaltobetonové plochy v návaznosti na stávající nové oplocení rozšířené části dvora. Oplocení bylo provedeno ve stejném duchu, jako je původní, z cihelného zdiva do ocelových sloupků a na betonový základový práh, výška oplocení cca 1850 mm.
K rozšíření prostoru dvora došlo o cca 207 m2. Součástí úprav bylo odstranění původní sanitární buňky a umístění nové sestavy – 4 kontejnerů, sestávající se ze sanitární buňky a obytných kontejnerů, které budou sloužit pro re-use centrum. Tato sestava je umístěna v místě původní buňky u vjezdové brány podél severní stěny oplocení. Jedná se o typové kontejnery o venkovním rozměru 2438 x 6058 mm, výška 2800 mm. Přípojky do areálu dvora se nemění, bude provedena úprava – rozšíření napojení osvětlení dvora z veřejného osvětlení.
V lednu 2023 se konalo výběrové řízení na zpracovatele PD a nejvýhodnější nabídku předložila Ing. Ivana Hynková z Prostějova s cenou 181.500,-- Kč vč. DPH s termínem vyhotovení projektové dokumentace pro společné povolení do 30. 06. 2023 a do 31. 07. 2023 pro provádění stavby. PD už byly odevzdány.
PD řeší tyto stavební objekty:
SO 01 – provozní buňka a re-use centrum
SO 02 – zpevněná plocha a chodník
SO 03 – oplocení
SO 04 – rozšíření osvětlení sběrného dvora
Z důvodu rozšíření dvora byly odstraněny 3 ks stromů o obvodu do 47 cm.
Předpokládané náklady dle PD byly ve výši 2 997 686 Kč s DPH.
V červnu byla podána žádost o vydání společného povolení. V září 2023 povolení vydané stavebním úřadem nabylo právní moci.
Uvažuje se o využití dotačních prostředků (Operační program Životní prostředí).
Rok 2024:
V rozpočtu města na rok 2024 byla vyčleněna částka ve výši 2,5 mil. Kč.
V březnu 2024 bylo vyhlášeno výběrové řízení na dodavatele stavby. Vítězným uchazečem se stala firma Prostějovská stavební společnost - PROSTAS, s.r.o. s částkou 3 624 567 Kč včetně DPH.
Předpokládaná délka stavby - 120 dní
Na chybějící finanční prostředky bylo v dubnu 2024 předloženo a schváleno rozpočtové opatření do orgánů města (rada a zastupitelstvo).
Dne 9.5.2024 byla stavba zahájena a trvala do konce září 2024.
V červenci byl odsouhlasen dodatek č. 1 k navýšení celkové ceny z důvodu víceprací (zřízení a odstranění bednění u základových patek, demontáž vrátnice a domku) na částku 3 699 174 Kč.
U společnosti STOLZA s.r.o. bylo objednáno vybavení re-use centra ve výši 90 750 Kč. Otevření centra je plánované od 1.1.2025.
Začátkem září bylo vše stavebně hotovo, nezbytná je kolaudace, která proběhla v říjnu 2024 a nabyla právní moci dne 25.10.2024.
Od 1.11.2024 je opět sběrný dvůr otevřen.
Rok 2025:
Začátkem roku 2025 bylo otevřeno ve sběrném dvoře Re-use centrum, které je občanům k dispozici ve středu a ve čtvrtek mimo svátky.
Věci, které RE-USE centrum zájemcům nabízí, nejsou zcela zdarma, nicméně ceny jsou často spíše symbolické.
V rámci zpracování ceníku prodávaných předmětů pro provoz RE-USE centra porovnával odbor správy a údržby majetku města ceníky z jiných měst, které RE-USE centrum již delší dobu provozují. Byla oslovena města Olomouc, Chrudim, Hranice a Zábřeh. Jednotlivá města posuzují cenu předmětů zejména podle stavu věci. Nemají pevné ceny v jednotlivých kategoriích, ale cenové rozpětí. Město Prostějov pracuje taktéž s několika kategoriemi předmětů, obdobně jako v uvedených městech, nicméně ceny v těchto kategoriích jsou pevné. Pokud si věc ve lhůtě dvou měsíců nikdo nezakoupí, bude zlikvidována jako odpad.
Ceník v RE-USE centru:
- předměty I. kategorie - Drobné nádobí, hrnky, skleničky, příbory, ruční mechanické nářadí, květináče, hračky, knihy, dekorace (nejdrobnější předměty lze sdružovat do skupin považovaných za 1 ks), sportovní předměty, zahradní nářadí, zařizovací předměty v domácnosti apod.
Cena 10 Kč včetně DPH
- předměty II. kategorie - Kufry, hudební nástroje, lyže, obrazy, drobný nečalouněný nábytek (stolky, botníky), zahradní náčiní, hrnce, plechy, pánve, pekáče, přepravky apod.
Cena 100 Kč včetně DPH
- předměty III. kategorie - Jízdní kola, kočárky, hodiny mechanické, akvária, klece na domácí zvířata, šlapací šicí stroje, větší obrazy, nečalouněný nábytek v dobrém stavu (stoly, židle, botníky, komody, skříňky, police) apod.
Cena 200 Kč včetně DPH
Provozní řád Re-use centra najdete v Příloze.
Výběrové řízení na zpracovatele projektové dokumentace
leden 2023
Vyčlenění finančních prostředků na zpracování PD
březen 2023
Zpracování projektové dokumentace
březen - červenec 2023
Vydání společného povolení
září 2023
Výběrové řízení na dodavatele stavby
březen 2024
Vyčlenění chybějících finančních prostředků
duben 2024
rada i zastupitelstvo města schvalují chybějící finanční prostředky, aby mohla být uzavřena smlouva o dílo.
Realizace stavby
květen - září 2024
Kolaudace stavby
říjen 2024